建设工程规划许可批前公示
近期,本局收到陆河县河东加油站办理建设工程规划许可的申请及有关材料。依照《广东省城乡规划条例》第二十九条的有关规定,现对相关事项公示如下:
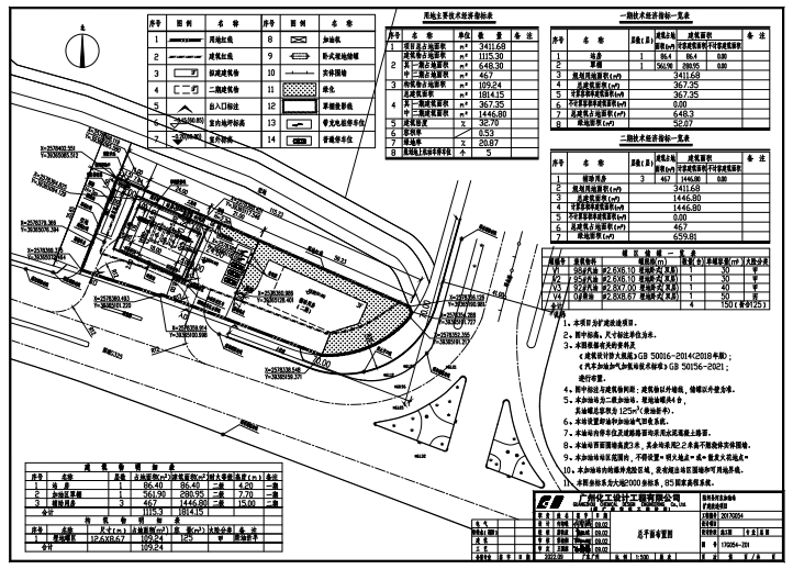
项目名称:陆河县河东加油站扩建工程(一期)
项目代码:2208-441523-04-01-626896
建设位置:陆河县河田镇环北路与朝阳路河东段交叉口河东村委芋陂坑
建设规模:总建筑面积:367.35平方米,计容面积:367.35平方米。其中加油站站房地上1层,加油站罩棚,配套设施等,建筑高度不超过24米。
公示内容:规划总平面图(见附图)
公示时间:2023年3月24日至2023年4月2日
附图为示意图,关于项目图纸等具体内容,可到我局咨询。相关利益人如果对该工程规划许可有异议,可在公示之日起10日内,依照有关规定向我局提出书面申述,反馈意见请署真实姓名及联系方式,否则不予以受理,逾期未提出的,视为放弃上述权利,我局将按照相关程序给予办理。
特此公示
规划总平面图附图:

联系电话:0660—5663655
陆河县自然资源局
2023年3月23日