近期,本局收到陆河县新河工业园区投资开发有限公司办理临时建设工程规划许可的申请及有关材料。依照《广东省城乡规划条例》第二十九条的有关规定,现对相关事项公示如下:
项目名称:陆河县水唇镇(深圳)富民兴村产业园建设项目
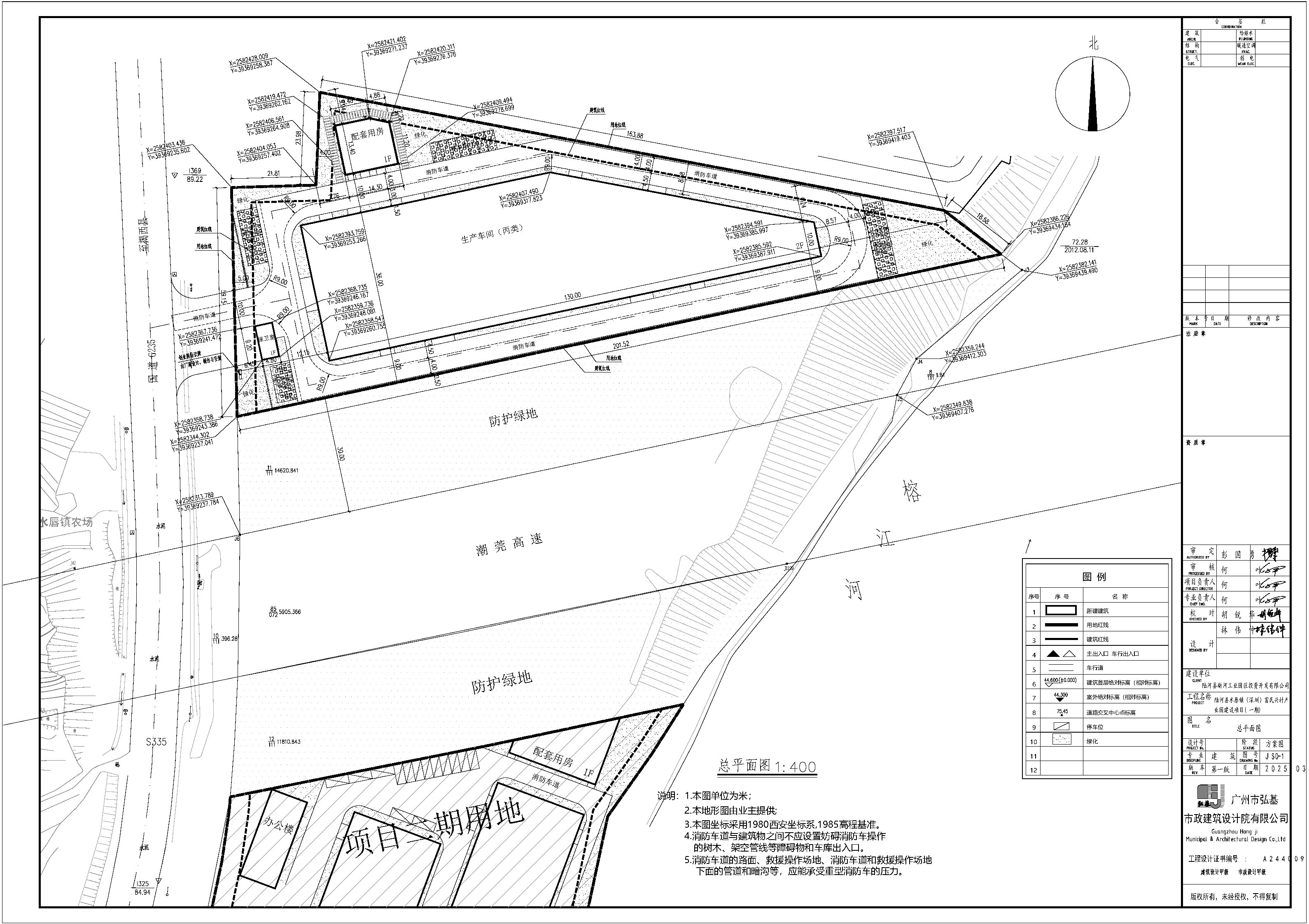
建设位置:汕尾市陆河县水唇镇G235水唇段伟德电子厂对面
建设规模:总建筑面积8237.08平方米,其中生产车间地上2层,配套用房地上1层,保卫室地上1层,配套设施等。
公示时间:2025年3月22日至2025年3月31日
陆河县新河工业园区投资开发有限公司申请临时建设工程规划许可证的具体内容,可到我局咨询。相关利益人如果对该临时工程规划许可有异议,可在公示之日起十日内依照有关规定向我局提出书面申述,反馈意见请署真实姓名及联系方式,否则不予以受理,逾期未提出的,视为放弃上述权利,我局将按照相关程序给予办理。
特此公示
附:规划设计总平面图

联系电话:0660—5663655
陆河县自然资源局
2025年3月21日
您访问的链接即将离开“陆河县人民政府”门户网站,是否继续?